Derzeit im Testbetrieb!
Hinweis für Bestandsnutzer
Bisher haben wir in velo.port eine zentrale, accountübergreifende Motorenliste geführt, die nur von unserem Support gepflegt werden konnte.
Da diese Liste zwischenzeitlich auf über 400 Einträge angewachsen ist und die Identifikation des passenden Motors zunehmend schwieriger wurde, haben wir die Motorenverwaltung von Grund auf neu aufgesetzt.
Die bedeutendste Neuerung ist sicherlich, dass die Motorenliste nun dir gehört.
Du kannst also alle Motoren selbst anlegen, bearbeiten und zusammenführen und deine Liste somit frei von Ballast halten.
Zudem sind damit die Vorbereitungen für die Anbindung externer Quellen (Bidex-Katalog, Veloconnect 1.5) zur vereinfachten Neufahrzeuganlage getroffen.
Info: Falls du Bestandsnutzer bist, haben wir alle von dir verwendeten Motoren einmalig aus dem alten System in die neue Motorenverwaltung migriert. Du startest also nicht "bei Null".
Neuanlage und Auswahl eines Motors
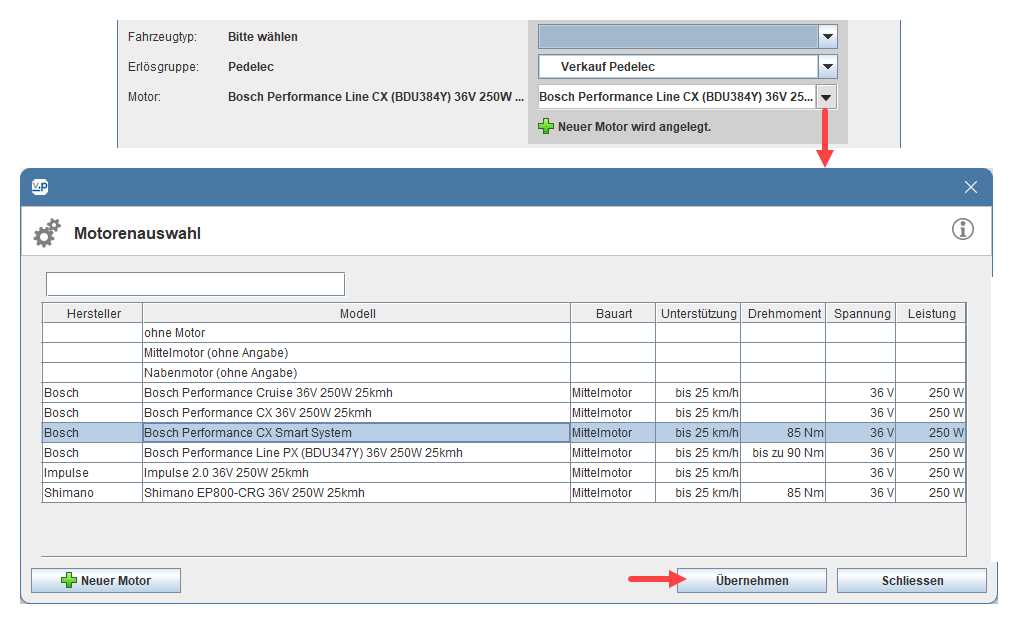
In der Fahrzeugverwaltung selektierst du ein Fahrzeug und klickst für eine Motorzuordnung oder -neuanlage auf das unten markierte Feld (Auswahlliste):

Die drei grün markierten Systemeinträge stehen immer zur Verfügung. Die übrigen Motoren sind deine eigenen:

Per Doppelklick auf einen Eintrag oder Auswahl + Schaltfläche Übernehmen kannst du einen bestehenden Motor für das selektierte Fahrzeug setzen.
Bei einer längeren Liste kannst du das Suchfeld nutzen.
Wird ein neuer Motor benötigt, klicke links unten auf Neuer Motor.
Dadurch wird eine bearbeitbare neue Zeile am Listenende ergänzt, in der du die gewünschten Motordaten eingeben kannst.
Wir haben uns bei den verfügbaren Attributen bewusst sehr dicht am Bidex-Standard orientiert, um eine vollständige Kompatibilität mit Datenlieferanten und Datenempfängern sicherzustellen.
Zu den Datenfeldern
Nur die Modellbezeichnung ist ein Pflichtfeld. Die übrigen Attribute sind optional, können aber bei Auswertungen und Datenlieferungen an externe Anbieter (Leasing, ERFA-Gruppen, Benchmarking, Webshops) sinnvolle Informationen sein.
Hersteller
Die Herstellerauswahl ist begrenzt auf die Bidex-Motorenmarken.
Weitere Marken können wir bei Bidex beauftragen.
Modell
Dies ist eine Freitextbezeichnung des konkreten Motorenmodells.
Wir empfehlen, die Motormarke mit in die Bezeichnung aufzunehmen.
Bauart
Die Liste orientiert sich an der Bidex-Motorposition.

Unterstützung
Die verfügbaren Endgeschwindigkeiten orientieren sich am Bidex-Motortyp.

Drehmoment
Derzeit ohne Gegenstück im Bidex-System.
Du kannst einen Freitext eingeben. Die Einheit "Nm" wird automatisch ergänzt.
Spannung
Die Systemspannung in Volt wird numerisch angegeben und entspricht dem Bidex-Attribut Akku-Spannung.
Die Einheit "V" wird automatisch ergänzt.
Leistung
Derzeit ohne Gegenstück im Bidex-System.
Du kannst die Motorleistung als numerischen Wert in Watt angeben. Die Einheit "W" wird automatisch ergänzt.
Fahrzeugneuanlage aus externen Quellen
Eine externe Quelle kann der velo.port-Fahrzeugzentralstamm sein oder auch ein Bidex-Produktdatenservice (Anbindung aktuell in Arbeit) oder auch eine Fahrzeuganlage aus Veloconnect-1.5-Daten von Lieferanten, welche dies unterstützen (Anbindung aktuell in Arbeit).
Falls die externe Quelle auch Motorinformationen nach Bidex-Standard liefert, können diese komfortabel bei der Neufahrzeuganlage übernommen werden.
Bei der Anlage wird velo.port versuchen, einen passenden bereits angelegten Motor zu finden.
Andernfalls wird der Motor neu angelegt:

Nach einmaliger Übernahme des Motors wird er bei allen folgenden Fahrzeugneuanlagen dann automatisch anhand seiner Motorbezeichnung erkannt:

Die Praxis zeigt, wie du sicher weißt, dass selbst innerhalb eines Fahrzeugherstellers keine einheitlichen Schreibweisen für die Motorbezeichnungen existieren.
Du wirst also mit Sicherheit das eine oder andere Mal auf eine Motorbezeichnung aus einer externen Quelle stoßen, die trotz anderer Schreibweise zu einem bereits angelegten Motor führen sollte.
In diesem Fall verwirfst du den velo.port-Vorschlag, einen neuen Motor anzulegen, und klickst stattdessen auf die Motorenauswahlliste, um einen bereits bestehenden Motor für dieses Fahrzeug zuzuordnen:

Die Statusmeldung wechselt dann auf Neuer Alias wird angelegt.

Du kannst die Fahrzeugneuanlage dann einfach mit deiner abweichenden Motorenauswahl abschließen.
Was ist ein Alias?
Damit du dieselbe abweichende Motorenauswahl nicht bei jeder Fahrzeugneuanlage manuell ausführen musst, speichern wir die Motorbezeichnung aus der externen Quelle als Stellvertreterbezeichnung ("Alias") für deinen bereits angelegten Motor.
Es kann eine Vielzahl an Alias-Einträgen für denselben Motor geben.
Sichtbar wird dies in der Motorenverwaltung (Bearbeitungsmodus), welche du über Stammdaten>>Fahrzeugverwaltung>>Motorenverwaltung erreichst:

Datenpflege
In der Motorenverwaltung kannst du neben der Alias-Verwaltung auch weitere Datenpflege betreiben.
Motordaten anpassen
Wenn die Motorbezeichnung nicht deinen Vorstellungen entspricht, Fehler enthält oder die Attribute lückenhaft sind, kannst du dies ganz einfach in der Motorenverwaltung ändern.
Freitextfelder betrittst du dabei durch Doppelklick, Dropdownmenüs benötigen nur einen einfachen Klick:

Motoren löschen
Hältst du einen Motor für veraltet und erwartest nicht mehr, dass er für Fahrzeugneuanlagen benötigt wird, kannst du ihn mit dem roten Löschkreuz entfernen, wobei wir ihn aus technischer Sicht nur archivieren, denn bei den im Umlauf befindlichen Fahrzeugen kann dieser Motor noch im Einsatz sein.

Möchtest du einen archivierten Motor wiederbeleben, blende die archivierten Motoren per Rechtsklick auf die Liste ein...

...und hole den gewünschten Motor wieder zurück:

Motoren zusammenführen
Wenn sich ein fachliches Duplikat unter deinen Motoren befindet, kannst du beide Motoren zusammenführen.
Beispiel: Den im nachfolgenden Screenshot grün markierten Eintrag hältst du für sinnvoller, den rot markierten Eintrag möchtest du künftig nicht mehr an deinen Fahrzeugen sehen.
Selektiere zuerst den aus deiner Sicht korrekten Eintrag und klicke auf Zusammenführen:

Im sich dann öffnenden Dialog wählst du nun den zu entfernenden Motoreintrag aus:

Der unerwünschte Motor wird dann bei allen Fahrzeugen entfernt und durch den zuerst gewählten Motor ersetzt.
Der entfernte Motor verschwindet daraufhin auch aus der Motorenverwaltung.
Wichtig: Führe diese Aufräumarbeit bitte außerhalb der Betriebszeiten aus oder lasse alle velo.port-Arbeitsplätze nach dem Zusammenführen sofort neu starten, damit es nicht zu Kollisionen kommt.War dieser Artikel hilfreich?
Das ist großartig!
Vielen Dank für das Feedback
Leider konnten wir nicht helfen
Vielen Dank für das Feedback
Feedback gesendet
Wir wissen Ihre Bemühungen zu schätzen und werden versuchen, den Artikel zu korrigieren